V/L Newton Drive, Wadsworth, OH 44281 (MLS # 5203254)
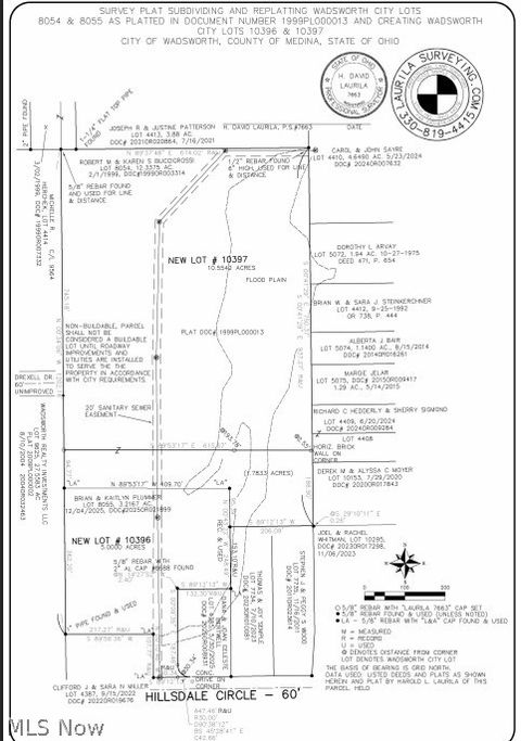
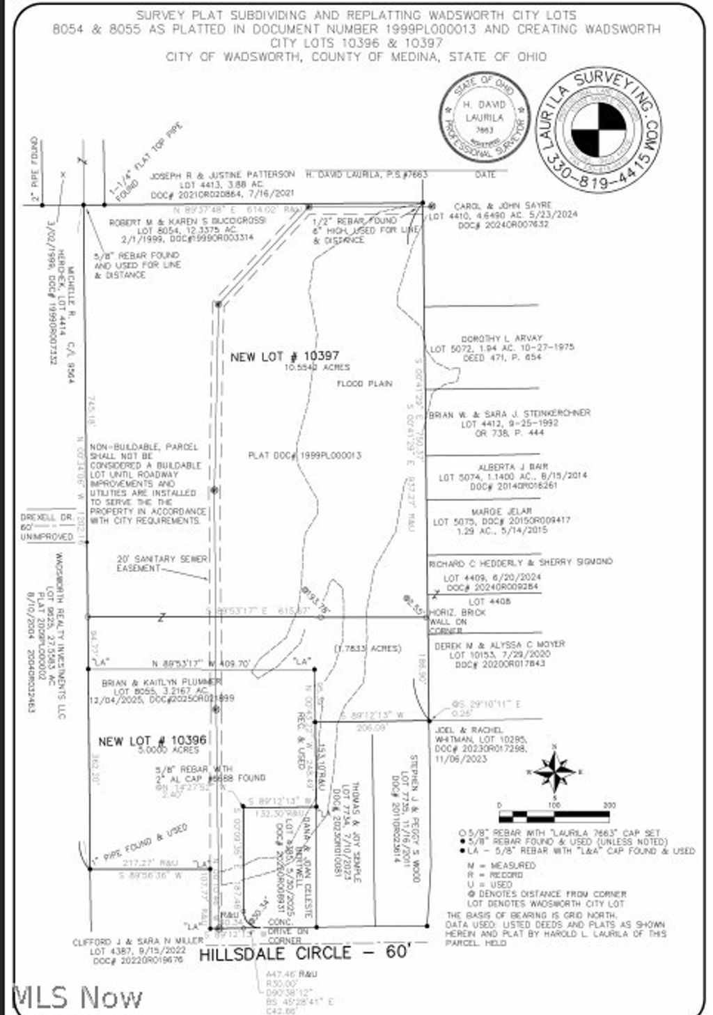
Beautiful 10.55 acres in the heart of Wadsworth. This property is to be accessed between 203 and 187 Newton Dr. The city owns the property from the sidewalk back to where the acreage begins. Wadsworth City has informed the owner that a private drive can be constructed from Newton Dr, and the acreage could be divided into 3 and possibly 4 large lots, provided the private drive complies with all city requirements and is approved by the city. The lots would be large, secluded, and beautiful. There is a sewer line that goes through the property, so these large lots can have sewer and water. The total impact fee in Wadsworth is $6,400 per lot, and that would include the fee to tie into the sewer line. There is a small area that is in the designated flood plain; see map in the attachments. The new owner would have to pay to have the water extended from Newton Dr to the property.
Property Type(s):
Lot/Land/Acreage
| Last Updated | 4/21/2026 | Year Built | 0 |
|---|---|---|---|
| County | Medina |
Additional Details
| LOT | 10.55 acre(s) |
|---|---|
| LOT DESCRIPTION | Cleared, Pasture, Secluded, Sloped, Split Possible, Wooded |
| LOT DIMENSIONS | 615-745 |
| PARKING | None |
| SEWER | Public Sewer |
| UTILITIES | Cable Available, Electricity Available, Natural Gas Available, Phone Available, Sewer Available, Water Available |
| VIEW | Yes |
| VIEW DESCRIPTION | Meadow, Pasture |
| WATER | Public |
| WATERFRONT DESCRIPTION | Stream |
Location
Contact us about this Property
| / | |
| We respect your online privacy and will never spam you. By submitting this form with your telephone number you are consenting for Ben Schafer to contact you even if your name is on a Federal or State "Do not call List". | |
Listing provided by: Thomas M Boggs | 330-322-7500, Berkshire Hathaway HomeServices Stouffer Realty, tomboggs1@gmail.com, 330-322-7500
The data relating to real estate for sale on this website comes in part from the Internet Data Exchange program of NEOHREX. Real estate listings held by brokerage firms other than Ben Schafer Realty are marked with the Internet Data Exchange logo and detailed information about them includes the name of the listing broker(s).
Listing information is deemed reliable, but not guaranteed.
Data Last Updated: 4/22/26 10:31 PM PDT
This IDX solution is (c) Diverse Solutions 2026.
Like Us On Facebook

Search for your next home
Latest Real Estate
-
$0
409 East Street
Caldwell, OH
-
$1
0 Clem Garvin Road
Caldwell, OH
-
$1
0 Tract 14 CR 7 Rear
Caldwell, OH
-
$450
612 West Street #Suite 7
Caldwell, OH
-
$500
612 West Street #Suite 6
Caldwell, OH
-
$500
612 West Street #Suite 5
Caldwell, OH
-
$500
612 West Street #Suite 4
Caldwell, OH
-
$500
612 West Street #Suite 3
Caldwell, OH
-
$29,900
802 Fairground Street
Caldwell, OH
-
$49,900
608 west Street
Caldwell, OH
-
$60,000
SR 215
Caldwell, OH
-
$74,900
512 North Street
Caldwell, OH
-
$83,000
834 North Street
Caldwell, OH
-
$85,000
616 Miller Street
Caldwell, OH
-
$124,000
606 West Street
Caldwell, OH
-
$169,000
519 North Street
Caldwell, OH
-
$199,900
44250 Fairground Road
Caldwell, OH
-
$229,900
16895 Bronze Heights Lane
Caldwell, OH
-
$320,000
49197 John Tomcho Road
Caldwell, OH
-
$513,300
Parry Hollow
Caldwell, OH
-
$589,000
8902 N State Route 78
Caldwell, OH
-
$1,950,000
17030 McConnellsville Road
Caldwell, OH
Lot Size
5,750 sqft
Home Size
1,208 sqft
Beds
3 Beds
Baths
1 Bath
Lot Size
2,501 sqft
Home Size
1,313 sqft
Beds
3 Beds
Baths
1 Bath
Lot Size
6,670 sqft
Home Size
1,856 sqft
Beds
4 Beds
Baths
2 Baths
Lot Size
23,262 sqft
Home Size
3,408 sqft
Beds
3 Beds
Baths
2 Baths
Lot Size
25,483 sqft
Home Size
2,376 sqft
Beds
5 Beds
Baths
3 Baths
Lot Size
15.00 ac
Home Size
N/A
Beds
2 Beds
Baths
2 Baths
-
Lot Size2,109 sqft
Home Size1,456 sqft
Beds2 Beds
Baths1 Bath
-
Lot Size130.80 ac
Home SizeN/A
BedsN/A
BathsN/A
-
Lot Size128.00 ac
Home SizeN/A
BedsN/A
BathsN/A
-
Lot Size4,356 sqft
Home SizeN/A
BedsN/A
BathsN/A
-
Lot Size4,356 sqft
Home SizeN/A
BedsN/A
BathsN/A
-
Lot Size4,356 sqft
Home SizeN/A
BedsN/A
BathsN/A
-
Lot Size4,356 sqft
Home SizeN/A
BedsN/A
BathsN/A
-
Lot Size4,356 sqft
Home SizeN/A
BedsN/A
BathsN/A
-
Lot Size8,712 sqft
Home SizeN/A
BedsN/A
BathsN/A
-
Lot Size6,665 sqft
Home SizeN/A
BedsN/A
BathsN/A
-
Lot Size5.03 ac
Home SizeN/A
BedsN/A
BathsN/A
-
Lot Size2,527 sqft
Home Size1,870 sqft
BedsN/A
BathsN/A
-
Lot Size5,750 sqft
Home Size1,208 sqft
Beds3 Beds
Baths1 Bath
-
Lot Size2,501 sqft
Home Size1,313 sqft
Beds3 Beds
Baths1 Bath
-
Lot Size1,917 sqft
Home SizeN/A
Beds2 Beds
Baths2 Baths
-
Lot Size6,670 sqft
Home Size1,856 sqft
Beds4 Beds
Baths2 Baths
-
Lot Size3.29 ac
Home SizeN/A
BedsN/A
BathsN/A
-
Lot Size23,262 sqft
Home Size3,408 sqft
Beds3 Beds
Baths2 Baths
-
Lot Size25,483 sqft
Home Size2,376 sqft
Beds5 Beds
Baths3 Baths
-
Lot Size102.66 ac
Home SizeN/A
BedsN/A
BathsN/A
-
Lot Size15.00 ac
Home SizeN/A
Beds2 Beds
Baths2 Baths
-
Lot Size3.17 ac
Home SizeN/A
BedsN/A
BathsN/A